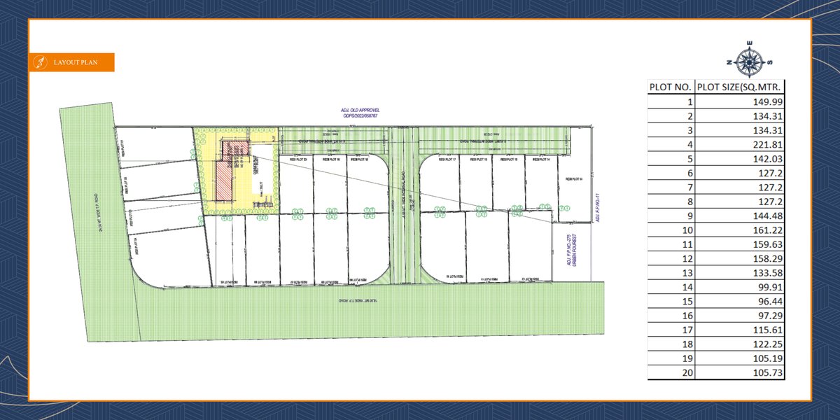
Sarva Solitaire is a plotted development real estate project developed by Sarva Solitaire, strategically located at Sarva Solitaire,near Sarva Vatika 121,near Pioneer College,b/h Laxmi Studio,near Ajwa Chokdi,beside Ajwa Road To Ankhol Road,tp 25 Technology Park,vadodara, Vadodara, 390019. This RERA-registered property (Registration No: PR/GJ/VADODARA/VADODARA/Vadodara Urban Development Authority/PAA15740/250825/311230). Total 20 Plots
The project is professionally designed by Aditya Ajit Umrajkar and engineered by Vinubhai Ratilal Patel, ensuring quality construction and adherence to all regulatory standards. For more information about this property, interested buyers can contact Sarva Solitaire directly at 9428447888.








